アポ島:フィリピンの手つかずの海洋保護区

フィリピンに位置するアポ島は、活気あふれるサンゴ礁、多様な海洋生物、そして持続可能なエコツーリズムの取り組みで世界的に有名な海洋保護区です。

Jul 14, 2025 - 17:19
Jul 14, 2025 - 11:00
 0
アポ島:フィリピンの手つかずの海洋保護区

 

アポ島を発見する

ネグロス島の南東海岸沖に位置するアポ島は、フィリピンの小さな火山島であり、世界中の海洋愛好家やエコツーリズム志向の旅行者に愛されています。面積は約74ヘクタールと小さいながらも、アポ島はフィリピンで最も成功した地域管理型の海洋保護区の一つです。訪問者は透明度の高い海、水中のサンゴ礁、生物多様性を楽しむために集まり、フィリピン旅行の必訪スポットとなっています。
この島はネグロス・オリエンタル州のダウィン自治体に属し、州都ドゥマゲテ市から約30キロ離れています。アクセスの良さと保護への強い取り組みが、持続可能な観光を目指す旅行者にとって理想的な目的地となっています。

 

アポ島フィリピンの手つかずの海洋保護区-02

 

アポ島の宝石:海洋保護区

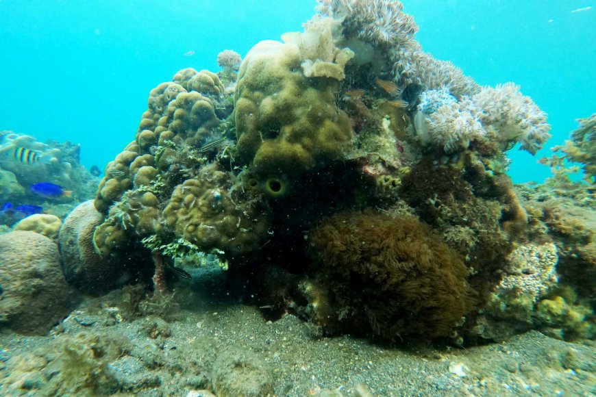
アポ島の海洋保護区は、壮大なサンゴ礁と豊かな海洋生物で称賛されています。この保護区は1980年代にコミュニティのイニシアチブとして設立され、島の自然資源の保護と回復を目指しました。それ以来、フィリピンの海洋保護のモデルケースとなり、かつて減少した魚の個体数やサンゴの健康を回復させてきました。
アポ島のサンゴ礁には650種以上の魚類と400種以上のサンゴが生息しています。シュノーケラーやダイバーは、島の象徴ともいえるウミガメと出会えることが多く、穏やかな海の中で優雅に泳ぐ姿やサンゴの上で休む様子を間近で見ることができます。

 

アポ島フィリピンの手つかずの海洋保護区-03

 

アポ島でのシュノーケリングとダイビング体験

アポ島はシュノーケリングとダイビングの愛好家にとってまさに楽園です。透明度の高い海水は最大30メートルの視界を提供し、訪問者は水中世界を存分に楽しむことができます。初心者から熟練者まで対応する複数のダイブスポットがあります。
「タートルポイント」や「チャペルダイブサイト」などの人気スポットでは、アオウミガメやタイマイなどのウミガメを間近に見ることができ、色鮮やかなサンゴや多様な魚類と出会えます。保護区の厳しい規制により、エコシステムは健全で活気に満ちており、毎回のダイビングが思い出深いものになります。
地元の人々がガイドやシュノーケリング器材のレンタルを行い、海の環境についての知識を共有しています。これは地域経済の支援にもつながり、島の持続可能な観光の精神を体現しています。

 

アポ島フィリピンの手つかずの海洋保護区-04

 

持続可能な観光と地域コミュニティの関与

アポ島の際立った特徴の一つは、地元住民が環境保護に積極的に参加している点です。主に漁業に携わる住民たちは、漁業規制の実施や観光客への責任ある行動の啓発を行っています。
持続可能な観光が優先されており、訪問者数も環境悪化を防ぐため管理されています。大規模なリゾートや商業開発はなく、自然の魅力と生態系の健全さが保たれています。観光客にはサンゴに触れない、使い捨てプラスチックを避ける、地元のビジネスを支援するなどのエコフレンドリーな行動が推奨されています。
このコミュニティ主導の取り組みは、島の自然資源の持続と地域住民の生活向上の両方に寄与しています。

 

アポ島フィリピンの手つかずの海洋保護区-05

 

アポ島へのアクセス方法

アポ島への旅は比較的簡単です。最寄りの空港はドゥマゲテ市のシブラン空港で、マニラ、セブなど主要都市からの定期便があります。ドゥマゲテからは車で約30分、マラタパイの港からボートで20分の距離です。
ボートの手配やガイドツアーは、地元の旅行代理店やリゾートで事前に予約することをおすすめします。これにより、安全でスムーズな旅を楽しみながら地域経済も支援できます。

 

アポ島フィリピンの手つかずの海洋保護区-06

 

アポ島の訪問に最適な時期

アポ島のベストシーズンは11月から5月の乾季です。この時期は晴天が多く、海も穏やかでシュノーケリングやダイビングに最適です。特に3月から5月は観光のピークシーズンのため、宿泊やツアーの早めの予約が望ましいです。
雨季の6月から10月は海が荒れやすく、水中の視界も悪くなるため、訪問は控えたほうが良いでしょう。

 

アポ島フィリピンの手つかずの海洋保護区-07

 

近隣の観光スポット

アポ島だけでなく、近隣のネグロス・オリエンタルも訪れる価値があります。ダウィンは温泉やダイブリゾートで有名で、アポ島観光の拠点として人気です。ドゥマゲテ市はカフェや市場、文化施設が充実し、都市の魅力も味わえます。
さらに旅を続けたい方には、ボホールのバリカサグ島も優れたダイビングスポットとして知られ、アポ島との組み合わせ旅行に最適です。

 

アポ島フィリピンの手つかずの海洋保護区-08

 

なぜアポ島はフィリピン旅行のリストに加えるべきか

アポ島はフィリピンにおける最も成功した海洋保護活動の一つを体感しながら、手つかずのサンゴ礁と豊かな海洋生物の美しさを楽しめる場所です。自然の驚異、持続可能な観光、地域コミュニティの調和が融合したこの島は、エコツーリズムを求める旅行者にとって特別な体験を約束します。
ダイバー、自然愛好家、または静かな島旅を求める人にとって、フィリピンのアポ島は大切な自然を守る熱意が息づくトロピカルパラダイスです。

 


Nipino.comは、正確で本物のコンテンツを提供することに尽力しています。ここをクリックしてご意見をお聞かせください。

DKmm Watanabe DKmm Watanabe is a full-stack web developer and an IT professor at フォーラム情報アカデミー専門学校 (Forum Information Academy Vocational School) in Niigata City. Passionate about technology and creativity, he enjoys traveling, writing, connecting with new people, and savoring a refreshing Chūhai (チューハイ). Explore his projects and portfolio online at www.derusan.com.